Im Oktober stellte die Grünen-Fraktion im Leipziger Stadtrat den Antrag „Stadtteilpark Volkmarsdorf endlich voranbringen!“ Schon damals hatte sich herumgesprochen, dass die Stadt das Bahngelände an der Schulze-Delitzsch-Straße nicht komplett kaufen würde. Auch die beiden dort ansässig gewordenen Wagenplätze waren ein Grund dafür. Aber mit der Antwort auf die Grünen-Anfrage wird noch deutlicher, welche Probleme es dort gibt.
Was eigentlich zu erwarten war, denn solche alten Gewerbestandorte sind in der Regel alle hochbelastet. Hier wurde jahrzehntelang keine Rücksicht auf den Umweltschutz genommen. Tatsächlich müsste das komplette Gelände erst einmal aufwendig und teuer saniert werden, das ganze Gelände, das die Stadt tatsächlich für Kompensationsmaßnahmen sichern will.
„Für die ca. 3 ha große Fläche ist nach Abbruch aller Gebäude, Entsiegelung und Sanierung der Altlastenflächen die Anlage eines ,urbanen Waldes‘ planfestgestellt“, heißt es in der Stellungnahme des Planungsdezernats zum Antrag der Grünen.
Das aber hat mit den Wünschen der Volkmarsdorfer nach einem richtigen Stadtteilpark nichts zu tun. „Wie bereits dargestellt, handelt es sich um eine Kompensationsmaßnahme, die mit einem klassischen Stadtteilpark nicht zu verwechseln ist. Die Stadt Leipzig wird sich aber bemühen, dass die Kompensationsmaßnahme eine Spiel- und Aufenthaltsfunktion mit übernimmt. Damit wird ein Kompromiss zwischen Kompensationsmaßnahme und Stadtteilpark geschaffen“, betont das Baudezernat.
Und nur dafür gab es augenscheinlich auch die Zustimmung der Landesdirektion.
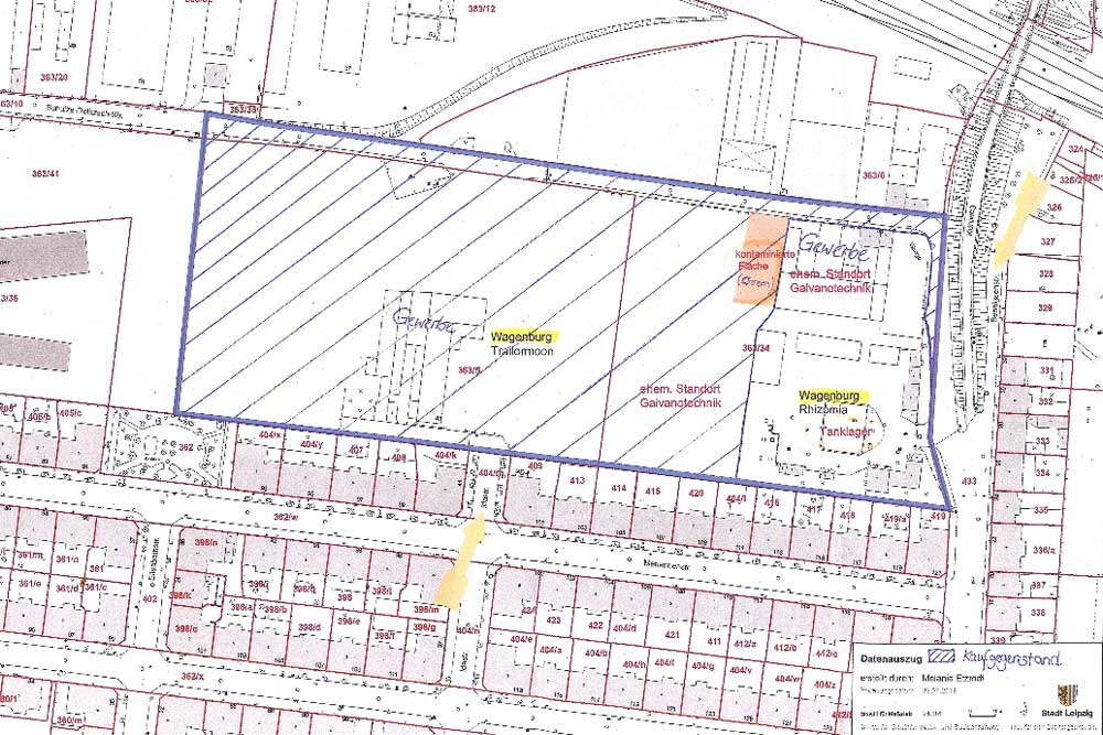
„Die Kaufverhandlungen mit der Deutschen Bahn kamen zwischenzeitlich zum Erliegen, da sich zwei Wagenplätze auf den Grundstücken angesiedelt haben“, geht die Verwaltung noch einmal auf die Verzögerungen ein.
„Die Größe des Kaufgrundstücks wurde nunmehr dahingehend korrigiert, dass die Wagenburg auf dem ehemaligen Tanklager nicht mehr zum Kaufgegenstand gehört. Zudem wurden einzelne Teilflächen öffentlich zum Verkauf ausgeschrieben. Die Stadt Leipzig hat sich an der Ausschreibung beteiligt. Das Ergebnis wird demnächst in einer parlamentarischen Vorlage zur Beschlussfassung vorgelegt.“
Warum die Stadt sich nicht bemüht hat, die komplette Fläche zu erwerben, erklärt die Vorlage so: „Auf dem Grundstück befinden sich mehrere Altlastenstandorte. Die größten Bereiche entfallen dabei auf die Galvanotechnik und das ehemalige MINOL-Tanklager. Im Bereich des Tanklagers sind der Boden und das Grundwasser großflächig kontaminiert. Aufgrund der Kontaminationen ist eine Altlastsanierung des Grundstücks erforderlich, der den Bodenaushub einschließlich den Rückbau der Tankanlagen mit einer nachfolgenden Grundwassersanierung umfasst. Der Rückbau der baufälligen Gebäude, ergänzende Standortuntersuchungen und die Sanierung der Altlast sind jedoch erst durchführbar, wenn der Wagenplatz Rhizomia das Tanklagergrundstück vollständig verlässt.“
So weit war das schon bekannt. Deshalb stockten die Kaufverhandlungen. Die Bahn versuchte, Rhizomia andere Standorte anzubieten, die aber von den Wagenleuten nicht angenommen wurden.
Das Ergebnis, so das Planungsdezernat: „Der Ankauf der Fläche mit den Wagenburgen und den Altlastenstandorten war durch die Landesdirektion Leipzig nicht genehmigungsfähig, da der Erwerb ein unkalkulierbares finanzielles Risiko für die Stadt Leipzig darstellt. Daher hat die Deutsche Bahn in Absprache mit dem Liegenschaftsamt die Flächen des Tanklagers aus dem Kaufgegenstand herausgelöst.“
Aber um die angrenzenden Gewerbegrundstücke habe sich die Stadt beworben, heißt es in der Vorlage: „Die gewerblich genutzten Teilflächen an der verlängerten Idastraße und an der Bennigsenstraße hat die Deutsche Bahn im Juni 2019 öffentlich zum Verkauf ausgeschrieben. Das Liegenschaftsamt wurde im Vorfeld über die beabsichtigte Ausschreibung mündlich informiert. Der Zeitpunkt und der Umfang der Ausschreibung waren der Verwaltung allerdings nicht bekannt. Die Stadt Leipzig hat sich an der Ausschreibung beteiligt. Aktuell laufen die Kaufvertragsverhandlungen zu den Flächen. Über das Ergebnis der Ausschreibung und der Verhandlungen wird eine parlamentarische Vorlage zur Beschlussfassung vorgelegt. Eine Beurkundung des Kaufvertrages soll in 2020 stattfinden.“
Das Grundstück an der Idastraße (auf der Karte noch mit dem Wagenpark Trailormoon besetzt) ist dabei der größere Teil des Geländes. Daran grenzt jener Teil des ehemaligen Galvano-Geländes an, den die Stadt ebenfalls kaufen will samt der Schulze-Delitzsch-Straße bis zur Benningsenstraße. Nur der östliche Teil des Galvano-Geländes mit dem Tanklager wird herausgelöst. Jetzt kann man gespannt sein, ob es in diesem Jahr tatsächlich zum Kaufvollzug kommt und die Flächen mit Bäumen bepflanzt werden können.
Petition fordert die Verwaltung auf, die Brachfläche für den Volkspark zu kaufen, und Grüne bringen Antrag ein
Hinweis der Redaktion in eigener Sache (Stand 24. Januar 2020): Eine steigende Zahl von Artikeln auf unserer L-IZ.de ist leider nicht mehr für alle Leser frei verfügbar. Trotz der hohen Relevanz vieler Artikel, Interviews und Betrachtungen in unserem „Leserclub“ (also durch eine Paywall geschützt) können wir diese leider nicht allen online zugänglich machen. Doch eben das ist unser Ziel.
Trotz aller Bemühungen seit nun 15 Jahren und seit 2015 verstärkt haben sich im Rahmen der „Freikäufer“-Kampagne der L-IZ.de nicht genügend Abonnenten gefunden, welche lokalen/regionalen Journalismus und somit auch diese aufwendig vor Ort und meist bei Privatpersonen, Angehörigen, Vereinen, Behörden und in Rechtstexten sowie Statistiken recherchierten Geschichten finanziell unterstützen und ein Freikäufer-Abonnement abschließen (zur Abonnentenseite).
Wir bitten demnach darum, uns weiterhin bei der Aufrechterhaltung und den Ausbau unserer Arbeit zu unterstützen.
Vielen Dank dafür und in der Hoffnung, dass unser Modell, bei Erreichen von 1.500 Abonnenten oder Abonnentenvereinigungen (ein Zugang/Login ist von mehreren Menschen nutzbar) zu 99 Euro jährlich (8,25 Euro im Monat) allen Lesern frei verfügbare Texte zu präsentieren, aufgehen wird. Von diesem Ziel trennen uns aktuell 350 Abonnenten.
Empfohlen auf LZ
So können Sie die Berichterstattung der Leipziger Zeitung unterstützen:










Keine Kommentare bisher