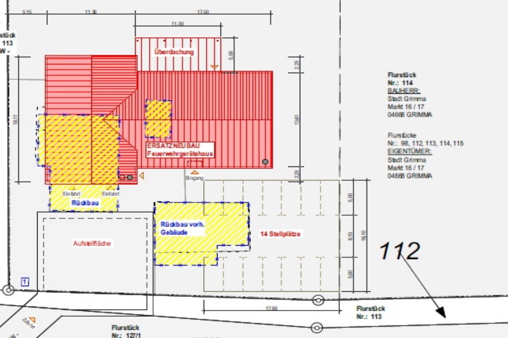
Das Feuerwehrgerätehaus in Zschoppach ist in die Jahre gekommen. Das Gebäude ist viel zu eng für die mannschaftsstarke Wehr und entspricht nicht mehr den Anforderungen gemäß Feuerwehrbedarfsplan.
Eine bauliche Erweiterung würde keinen Sinn machen, daher entschied man sich am jetzigen Standort neu zu bauen. Noch im Jahr 2019 soll mit dem eingeschossigen Ersatzneubau, in dem zwei Feuerwehrfahrzeuge Platz finden, begonnen werden. Die Umkleiden mit Duschen für die Feuerwehrmänner und Feuerwehrfrauen schließen sich direkt der Fahrzeughalle an. Die Jugendfeuerwehr bekommt ein eigenes Refugium. Ein 56 Quadratmeter großer Raum ist für die Schulungen vorgesehen. Läuft alles nach Plan können die Kameradinnen und Kameraden das neue Feuerwehrgerätehaus im ersten Quartal 2021 beziehen. Die zweite Fahrzeughalle weicht ebenfalls der Abrissbirne. An dieser Stelle entsteht ein großzügiger Parkplatz. Die Kosten für Abriss, Neubau und Ausstattung liegen bei 1,4 Millionen Euro. Aus der sächsischen Feuerwehrförderung erhält die Stadt eine Förderung von 360.000 Euro.

Keine Kommentare bisher