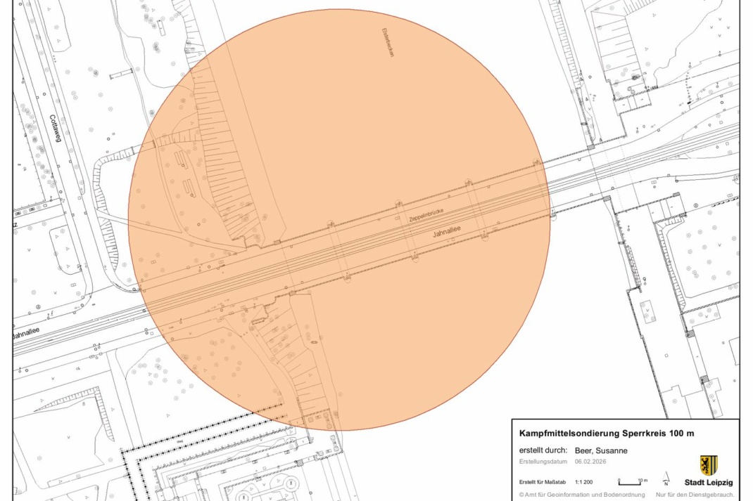
Aufgrund einer bevorstehenden Kampfmittelsondierung im Elsterflutbecken unterhalb der Baustelle Zeppelinbrücke/Jahnallee muss am Mittwoch, 11. Februar, ab 8 Uhr, voraussichtlich bis 16 Uhr ein Sperrkreis von 100 Metern rund um die Fundstelle eingerichtet werden.
Im Zuge der Bauarbeiten wurde an den Traggerüsten eine Anomalie im Wasser festgestellt worden, die nun durch eine Kampfmittelräumfirma verifiziert werden muss. Zum deshalb notwendigen Sperrkreis gehören die Zeppelinbrücke selbst, das Elsterflutbecken sowie der Palmengarten und der Grünstreifen am Cottaweg. (siehe beigefügtes PDF).
Die Fuß- und Radwege in diesem Bereich können am 11. Februar nicht benutzt werden. Die Straßenbahnlinien 3, 7, 8 und 15 werden ab 8 Uhr über Westplatz, Käthe-Kollwitz-Straße und Felsenkeller umgeleitet. Die Haltestelle Sportforum Süd kann nicht bedient werden. An den Haltestellen Waldplatz und Leibnizstraße hält nur die Linie 4.
Nach Aufhebung des Sperrkreises im Laufe des Tages (voraussichtlich 16 Uhr) verkehren die betroffenen Straßenbahnlinien wieder in normaler Linienführung über die Zeppelinbrücke. An den Haltestellen Goerdelerring, Waldplatz und Angerbrücke werden Servicemitarbeiter zur Kundeninformation eingesetzt. Infos der Leipziger Verkehrsbetriebe gibt es im Internet auf www.l.de, weitere Auskünfte am Servicetelefon 0341 19449 oder über die kostenlose App LeipzigMOVE.







Keine Kommentare bisher