Was wurde Gefährliches unter der Leipziger Zeppelinbrücke entdeckt? Experten für Kampfmittelräumung nehmen sich der Sache an, ein Sperrkreis wird eingerichtet. Auch die Gewerkschaft ver.di sperrt sich. Um ihren Tarifforderungen Druck zu verleihen, ruft sie zum sachsenweiten Streik. Und: Es sind Winterferien! Die LZ fasst zusammen, was am Freitag, dem 6. Februar 2026, in Leipzig, Sachsen und darüber hinaus wichtig war.
Verdächtiger Fund an Zeppelinbrücke
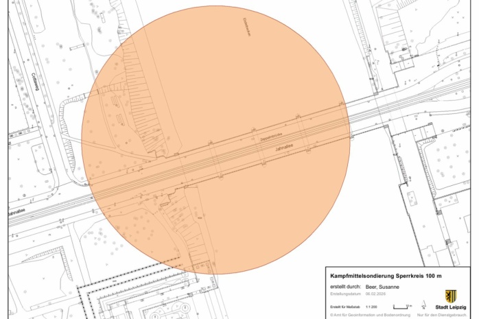
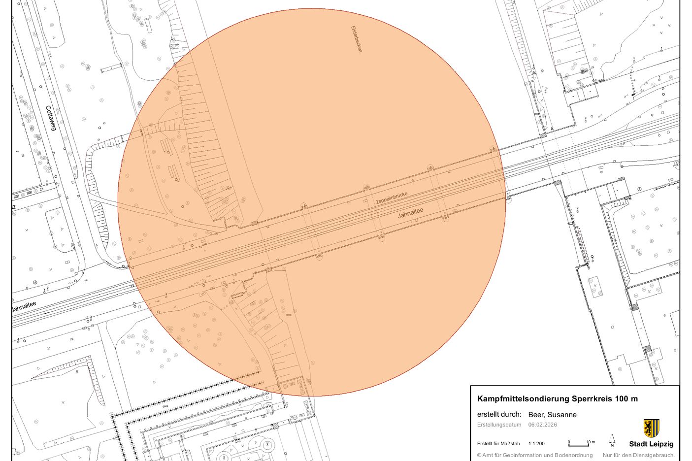
Ist es eine Granate, eine Bombe oder doch nur ein alter Eimer? Bei den Bauarbeiten an der Zeppelinbrücke „wurde an den Traggerüsten eine Anomalie im Wasser festgestellt“, teilt die Stadt Leipzig heute mit. Um zu überprüfen, was genau sich hinter diesem Fund verbirgt, muss nun eine Kampfmittelräumfirma ran.
Diese wird ihre Arbeit am kommenden Mittwoch, dem 11. Februar, verrichten. Aus Sicherheitsgründen wird an diesem Tag um den Fundort herum ein Sperrkreis von 100 Metern Durchmesser eingerichtet. Zwischen 8 Uhr und 16 Uhr ist damit für Fußgänger und Verkehrsmittel kein Durchkommen. Die Fuß- und Radwege sind gesperrt und die über die Jahnallee verkehrenden Straßenbahnlinien 3, 7, 8 und 15 werden über Westplatz, Käthe-Kollwitz-Straße und Felsenkeller umgeleitet.
Demnach kann die Haltestelle Sportforum Süd nicht angefahren werden. An den Haltestellen Waldplatz und Leibnizstraße hält nur die Linie 4. Ab voraussichtlich 16 Uhr fahren dann alle Bahnen wieder wie gewohnt über die Zeppelinbrücke.
Wieder Streik in ganz Sachsen
Die Gewerkschaft ver.di macht weiter Druck. Kurz vor der dritten und entscheidenden Verhandlungsrunde am 11. Februar ruft sie alle Tarifbeschäftigten im öffentlichen Dienst der Länder für den 10. Februar zu einem großen, sachsenweiten Streiktag auf. Ver.di will damit zeigen, „wie ernst es uns mit unseren Forderungen ist“, von denen die Arbeitgeber aber „aktuell noch meilenweit entfernt“ seien.
In Leipzig wird sogar über zwei Tage hinweg gestreikt. Am Montag, 9. Februar, beginnen die Beschäftigten im Geltungsbereich des Tarifvertrages der Länder (TdL) sowie die Beschäftigten des Universitätsklinikums (UKL) um 7:30 Uhr mit einer Auftaktversammlung im STUK Leipzig, Nürnberger Straße, mit dem Ausstand.
Am Dienstag, 10. Februar, schließen sich auch die Beschäftigten der Universität, der Hochschulen, des Studentenwerks und weiterer Landeseinrichtungen dem Warnstreik an. Gegen 10:30 Uhr startet dann auf dem Burgplatz die zentrale Streikkundgebung.
Winterferien-Start in Sachsen
Kollektives Aufatmen bei den weit über eine halbe Million Schülerinnen und Schülern im Freistaat: Nach dem heutigen letzten Schultag stehen nun die zweiwöchigen Winterferien auf dem Programm. Der sächsische Kultusminister Conrad Clemens (CDU) wünscht „allen Schülerinnen und Schülern sowie unseren Lehrkräften eine erholsame Winterpause“.
Und weiter sagt der 43-Jährige: „Den Lehrerinnen und Lehrern danke ich für ihren täglichen Einsatz, mit dem sie sich auch in herausfordernden Zeiten mit großem Engagement für ihre Schüler einsetzen. Jetzt ist Zeit, Kraft zu tanken, um im zweiten Schulhalbjahr mit voller Energie durchzustarten.“
Für die Leipziger Ferien-Kids hält die Stadt traditionell wieder einen Ferienpass bereit. Die 5 Euro (2,50 Euro für Leipzig-Pass-Inhaber) für das Heft sind alleine schon deshalb gut investiert, weil es während der kommenden zwei Wochen zur kostenlosen Nutzung aller Straßenbahnen und Busse der LVB sowie Verkehrsmittel des MDV im Stadtgebiet Leipzig (Tarifzone 110) berechtigt.
Darüber hinaus bietet er kostengünstigen Zugang zu über 200 möglichen Ferienaktivitäten in der Stadt: vom Familienkonzert, einer tollen Auswahl an Kinofilmen über Square Dance, Kickboxen und Schlittschuhspaß bis hin zu Kochkursen sowie Workshops zu Stop-Motion oder DIY-Kosmetik.
Erhältlich ist der Ferienpass unter anderem an den LVB-Servicepoints, der Bürgerinformation im Neuen Rathaus, den Leipziger Städtischen Bibliotheken, den Bürgerbüros oder auch an der Information im Amt für Jugend und Familie.
WorĂĽber die LZ heute berichtet hat:
Hallo Leipzig: So startet Freitag, der 6. Februar 2026
Nach dem Cospudener See: Auch Markkleeberger und Störmthaler See droht das Motorboot-Chaos
Kreistagsbeschluss: BĂĽndnisgrĂĽne suchen jetzt Kandidat/-innen fĂĽr die OBM-Wahl 2027
Was sonst noch wichtig war:
Das Bundesamt für Verfassungsschutz (BfV) sowie das Bundesamt für Sicherheit in der Informationstechnik (BSI) warnen aktuell vor Phishing-Angriffen über Messengerdienste wie beispielsweise „Signal“. Dahinter stecke „ein wahrscheinlich staatlich gesteuerter Cyberakteur“.
Im Mordfall des Ende Januar tot aufgefunden 14-jährigen Yosef aus Dormagen hat die Polizei einen Tatverdächtigen ermittelt. Dabei soll es ich um einen erst 12-jährigen Jungen handeln. Dieser soll sich gemobbt gefühlt haben.
In der pakistanischen Hauptstadt Islamabad sind bei einem Selbstmordanschlag in einer schiitischen Moschee mindestens 31 Menschen in den Tod gerissen worden. Zudem gab es über 160 Verletzte, viele von ihnen schweben noch in Lebensgefahr. Der Anschlag erfolgte während des Freitagsgebets.
Der aus China stammenden Social Media-Plattform Tiktok drohen möglicherweise hohe Geldstrafen der Europäischen Union. Als Grund führt die EU-Kommission an, dass Tiktok gegen europäisches Recht verstoße, da es süchtig machen kann.
Empfohlen auf LZ
So können Sie die Berichterstattung der Leipziger Zeitung unterstützen:



















Keine Kommentare bisher