Angekündigt wurde es gleich mit der Anlage des neuen grünen Radstreifens vorm Hauptbahnhof im April. Aber wie das so ist in Leipzig: Wenn das nächste Projekt Lückenschluss im Radwegenetz ansteht, gibt es den üblichen Aufstand der Kammern, der von der LVZ multipliziert wird und den Baubürgermeister nur noch den Kopf schütteln lässt über diese vehemente Verteidigung eines unhaltbaren Zustands. Am Mittwoch, dem 6. September, erklärte Thomas Dienberg, was auf dem nördlichen Ring als nächstes passiert.
Denn natürlich stellt sich die Verkehrssituation auf dem nördlichen City-Ring aus Radfahrerperspektive völlig anders dar als aus Autofahrersicht. Während Autofahrer auf dem Abschnitt zwischen Hauptbahnhof Westseite und Löhrstraße nur eine große Ampelkreuzung an der Gerberstraße vor sich haben, müssen Radfahrerinnen und Radfahrer derzeit fünf Ampeln überwinden, die allesamt nicht als „Grüne Welle“ geschaltet sind. Streckenweise müssen sie sich auch den Hochbord mit Fußgängern teilen. An ein zügiges oder gar sicheres Fahren von Ost nach West ist hier einfach nicht zu denken.

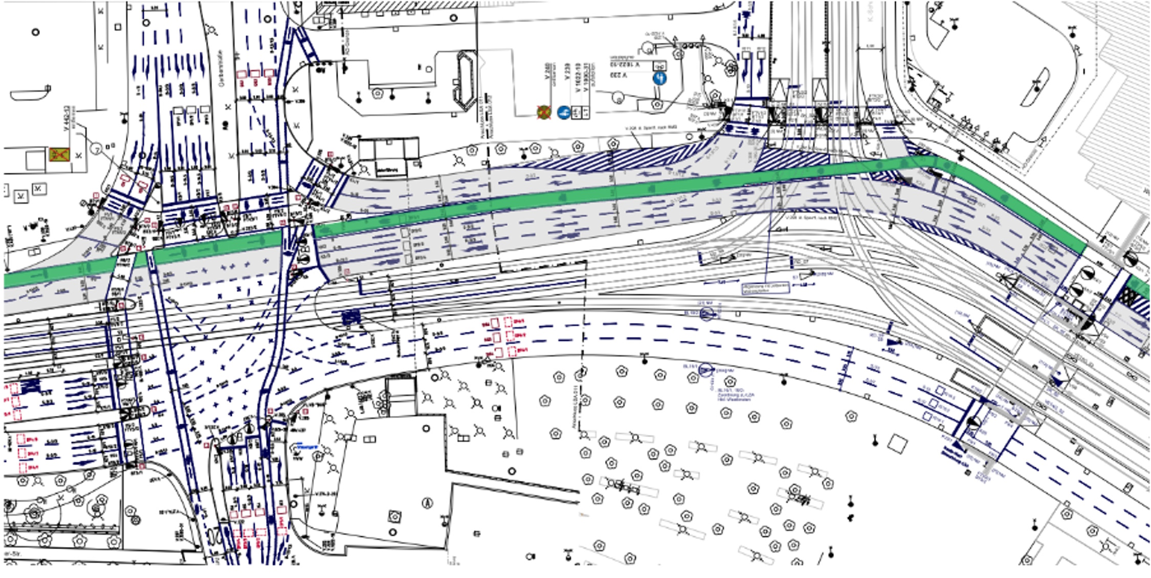
Ab Mitte Oktober sollen Radfahrerinnen und Radfahrer nun zwischen Hauptbahnhof und Löhrstraße auch den nächsten Abschnitt des äußeren Promenadenrings sicher befahren können. Auf der etwa 400 Meter langen Strecke wird in der Woche ab Montag, dem 2. Oktober, ein Fahrradstreifen im Farbton „verkehrsgrün“ markiert, kündigte Baubürgermeister Thomas Dienberg am 6. September an.
Dort kommt es derzeit immer wieder zu Konflikten zwischen Radfahrern und Fußgängerinnen, da es ab der Gerberstraße keine Radspur aus östlicher Richtung gibt. Diese Problemstelle wurde unter anderem in der öffentlichen Beteiligung zum Fußverkehrsentwicklungsplan mehrfach angemahnt. Der Radfahrstreifen endet im Anschluss an die Löhrstraße und wird dort in den bestehenden Radweg überführt.
„Dieser Radfahrstreifen schließt die Lücke auf dem nördlichen Promenadenring in Ost-West-Richtung. Das ist ein wichtiger Baustein unserer vom Stadtrat beschlossenen Mobilitätsstrategie 2030“, betonte Dienberg.
Die neue Radwegführung
Fahrräder werden in dem genannten Abschnitt teilweise künftig über eine sogenannte Fahrradweiche geführt, also auf der Fahrbahn links neben der Rechtsabbiegespur in die Gerberstraße.
Diese Verkehrsführung in Mittellage der Fahrbahn soll gegen vorzeitiges Überfahren durch Kfz baulich mit flachen Pollern abgesichert werden. Ähnlich wird der Radverkehr unter anderem bereits auf dem Martin-Luther-Ring in Richtung Karl-Tauchnitz-Straße gelenkt sowie im Peterssteinweg auf Höhe des Wilhelm-Leuschner-Platzes.
Aber wer sich als Radfahrer noch nicht gleich auf den grünen Radweg traut, hat bis auf Weiteres noch die alte (umständliche) Route als Ausweichmöglichkeit: Am Hauptbahnhof bleibt die alternative Radroute über den Astoria-Vorplatz weiterhin möglich.
Für den Radfahrstreifen entfällt in dem Abschnitt eine Kfz-Spur, die Ampelanlage an der Kreuzung Kurt-Schumacher-Straße wird angepasst. Auch der Blitzer an der Kreuzung Gerberstraße wird entfernt und durch das Ordnungsamt an einen anderen Ort umgesetzt.
Diese Änderung der Verkehrsführung folgt auf die Maßnahmen, die im April rund um den Hauptbahnhof umgesetzt wurden und die zum Gesamtkonzept zur neuen Radverkehrsführung rund um den Ring gehören.
Entschärfung von Konflikten
Um die Verkehrssicherheit an diesem neuralgischen Punkt vorm Hauptbahnhof zu erhöhen, wurde der Radverkehr von Richtung Ost nach West auf eine Fahrspur gelegt. Fußgänger erhielten ebenfalls mehr
Platz. Gerade zwischen Bahnhofsvorplatz und Zentralhaltestelle war es häufig zu kritischen Situationen mit anderen Verkehrsteilnehmerinnen gekommen. Der Kfz-Verkehr wird seither auf zwei statt bis dahin vier Spuren am Bahnhof vorbeigeführt.
Weil zugleich die Ampelschaltungen angepasst wurden, kam es durch die Neuorganisation zu keinen längeren Stauerscheinungen. Analysen des Verkehrs- und Tiefbauamtes zeigen, dass sich die Mengen an Autos vor dem Hauptbahnhof nicht maßgeblich verändert haben, betont das Verkehrs- und Tiefbauamt (VTA). Lediglich die Durchschnittsgeschwindigkeit auf den zwei verbleibenden Fahrspuren hat sich von 49 auf 34 Kilometer pro Stunde verringert.
In den Wochen vor Beginn der Arbeiten soll entlang des Streckenabschnitts plakatiert und so zu der neuen Verkehrsorganisation informiert werden. Die Markierungsarbeiten dauern dann etwa vier Wochen und sollen um den 30. Oktober abgeschlossen sein.
Und natürlich gibt es noch einen weiteren Grund, warum der Radverkehr jetzt vom Hochbord auf die Straße kommt: Nach einem Urteil des Oberverwaltungsgerichts war der Promenadenring 2021 erstmals seit 1975 wieder auf einem Abschnitt für den Radverkehr geöffnet worden.
Empfohlen auf LZ
So können Sie die Berichterstattung der Leipziger Zeitung unterstützen:
























Keine Kommentare bisher